Sprache auswählen
1.150 €
Kaltmiete6
Anzahl Zimmer145 m²
Gesamtfläche66740 Saarlouis
Diese Büro- oder Praxisräume befinden sich im Stadtzentrum von Saarlouis und profitieren von einer hervorragenden Infrastruktur. In direkter Nähe finden Sie den Bahnhof, der eine schnelle Anbindung an umliegende Städte ermöglicht, sowie ein Einkaufscenter und zahlreiche Einkaufsmöglichkeiten, die das tägliche Leben erleichtern. Zudem ist ein Krankenhaus in der Nähe, was für Praxen besonders vorteilhaft ist. Die zentrale Lage sorgt nicht nur für eine hohe Frequentierung, sondern auch für eine gute Erreichbarkeit für Ihre Kunden und Mitarbeiter. Saarlouis bietet somit alle Annehmlichkeiten eines urbanen Standorts und ist ideal für Unternehmen, die Wert auf eine optimale Erreichbarkeit legen.
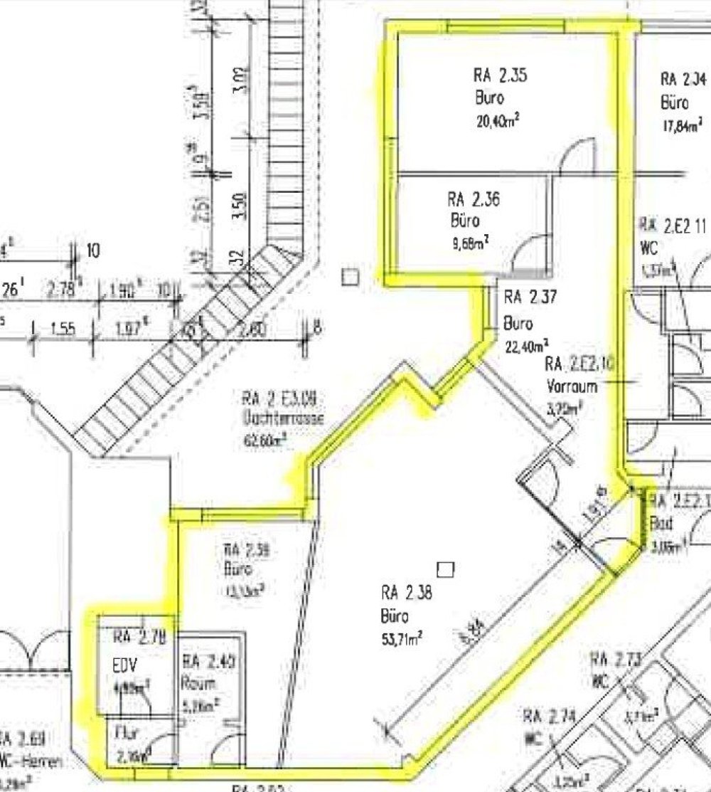
Willkommen in Ihrem neuen Büro oder Ihrer neuen Praxis im Herzen von Saarlouis! Diese großzügigen Räume erstrecken sich über beeindruckende 145 m² und bieten Ihnen die perfekte Umgebung, um Ihre geschäftlichen Ziele zu verwirklichen. Mit insgesamt fünf hellen und freundlichen Zimmern zzgl. EDV Raum, und sanitären Einrichtungen schaffen Sie Raum für Kreativität und Produktivität. Das moderne Design und die ansprechende Ausstattung machen die Räumlichkeiten zu einem Ort, an dem Sie und Ihre Mitarbeiter sich wohlfühlen werden.
Die gute Ausstattung umfasst unter anderem einen Aufzug, der den Zugang zu Ihrem Büro erleichtert und den Alltag für Mitarbeiter und Kunden angenehm gestaltet. Der Teppichboden sorgt zudem für ein warmes und einladendes Ambiente, während er gleichzeitig den Schall dämpft und so eine ruhige Arbeitsatmosphäre fördert. Diese modernen Räume wurden modernisiert und sind somit in einem hervorragenden Zustand, bereit für Ihre individuellen Gestaltungsideen.
Diese Büro- oder Praxisräume sind ideal für Unternehmen, die nach einem modernen und zentral gelegenen Standort suchen. Die Räumlichkeiten sind zur Miete verfügbar und bieten ein großes Potenzial für individuelle Gestaltungsmöglichkeiten. Aufgrund der modernen Ausstattung und des zeitgemäßen Zustands eignet sich das Objekt sowohl für Start-ups als auch für etablierte Firmen. Bitte beachten Sie, dass es sich um eine gewerbliche Vermietung handelt, die spezifischen rechtlichen Rahmenbedingungen unterliegt.
Die Büro- oder Praxisräume überzeugen durch ihre hochwertige Ausstattung und moderne Bauweise. Die angenehmen Teppichböden schaffen eine harmonische Atmosphäre und tragen dazu bei, dass sich Ihre Mitarbeiter und Kunden sofort wohlfühlen. Die Beheizung erfolgt über eine effiziente Fernwärme, die nicht nur umweltfreundlich, sondern auch kostensparend ist und Ihnen ein gleichmäßiges Raumklima bietet. Die insgesamt fünf-sechs Räume sind flexibel nutzbar und bieten ausreichend Platz für Besprechungen, Büros oder Wartebereiche. Zudem ist das gesamte Gebäude modernisiert, was den vorgeschriebenen Standards entspricht und Ihnen eine professionelle Umgebung garantiert.
Highlights der Ausstattung:
- Aufzug für barrierefreien Zugang
- Modernisierte Räumlichkeiten
- Hochwertiger Teppichboden
- Effiziente Fernwärmeheizung
- Flexible Raumaufteilung
Ansprechpartner
CJ-Immobilien
Anbieter
66787 Wadgassen
CJ-Immobilien
Zur Lambertstrasse
66787 Wadgassen
Telefon: 06834 460 642
Fax: 06834 460 641
Mobil: 0177 77 22 800
Geschäftsinhaber: Myrjam Maul
Steuernummer: 010 247 2991
USt-IdNr.: DE 283461703
Verbraucherinformationen: Online-Streitbeilegung gemäß Art. 14 Abs. 1 ODR-VO: Die Europäische Kommission stellt eine Plattform zur Online-Streitbeilegung (OS) bereit, die Sie hier finden: ec.europa.eu/consumers/odr
Vertretungsberechtigter:
Myrjam Maul
Aufsichtsbehörde (§ 16 MaBV/§ 34c GewO):
Landratsamt Saarlouis, 66740 Saarlouis, Kaiser-Wilelm Str.4-6
Umsatzsteueridentifikationsnummer gemäß § 27 a
Umsatzsteuergesetz: DE 283461703
Datenschutz nach DSGVO 2018
Inhalt des Onlineangebotes
Der Autor übernimmt keinerlei Gewähr für die Aktualität, Korrektheit, Vollständigkeit oder Qualität der bereitgestellten Informationen. Haftungsansprüche gegen den Autor, welche sich auf Schäden materieller oder ideeller Art beziehen, die durch die Nutzung oder Nichtnutzung der dargebotenen Informationen bzw. durch die Nutzung fehlerhafter und unvollständiger Informationen verursacht wurden, sind grundsätzlich ausgeschlossen, sofern seitens des Autors kein nachweislich vorsätzliches oder grob fahrlässiges Verschulden vorliegt.
Alle Angebote sind freibleibend und unverbindlich. Der Autor behält es sich ausdrücklich vor, Teile der Seiten oder das gesamte Angebot ohne gesonderte Ankündigung zu verändern, zu ergänzen, zu löschen oder die Veröffentlichung zeitweise oder endgültig einzustellen.
Verweise und Links
Bei direkten oder indirekten Verweisen auf fremde Webseiten ("Hyperlinks"), die außerhalb des Verantwortungsbereiches des Autors liegen, würde eine Haftungsverpflichtung ausschließlich in dem Fall in Kraft treten, in dem der Autor von den Inhalten Kenntnis hat und es ihm technisch möglich und zumutbar wäre, die Nutzung im Falle rechtswidriger Inhalte zu verhindern.
Der Autor erklärt hiermit ausdrücklich, dass zum Zeitpunkt der Linksetzung keine illegalen Inhalte auf den zu verlinkenden Seiten erkennbar waren. Auf die aktuelle und zukünftige Gestaltung, die Inhalte oder die Urheberschaft der verlinkten/verknüpften Seiten hat der Autor keinerlei Einfluss. Deshalb distanziert er sich hiermit ausdrücklich von allen Inhalten aller verlinkten /verknüpften Seiten, die nach der Linksetzung verändert wurden. Diese Feststellung gilt für alle innerhalb des eigenen Internetangebotes gesetzten Links und Verweise sowie für Fremdeinträge in vom Autor eingerichteten Gästebüchern, Diskussionsforen, Linkverzeichnissen, Mailinglisten und in allen anderen Formen von Datenbanken, auf deren Inhalt externe Schreibzugriffe möglich sind. Für illegale, fehlerhafte oder unvollständige Inhalte und insbesondere für Schäden, die aus der Nutzung oder Nichtnutzung solcherart dargebotener Informationen entstehen, haftet allein der Anbieter der Seite, auf welche verwiesen wurde, nicht derjenige, der über Links auf die jeweilige Veröffentlichung lediglich verweist.
Urheber- und Kennzeichenrecht
Der Autor ist bestrebt, in allen Publikationen die Urheberrechte der verwendeten Bilder, Grafiken, Tondokumente, Videosequenzen und Texte zu beachten, von ihm selbst erstellte Bilder, Grafiken, Tondokumente, Videosequenzen und Texte zu nutzen oder auf lizenzfreie Grafiken, Tondokumente, Videosequenzen und Texte zurückzugreifen.
Alle innerhalb des Internetangebotes genannten und ggf. durch Dritte geschützten Marken- und Warenzeichen unterliegen uneingeschränkt den Bestimmungen des jeweils gültigen Kennzeichenrechts und den Besitzrechten der jeweiligen eingetragenen Eigentümer. Allein aufgrund der bloßen Nennung ist nicht der Schluss zu ziehen, dass Markenzeichen nicht durch Rechte Dritter geschützt sind!
Das Copyright für veröffentlichte, vom Autor selbst erstellte Objekte bleibt allein beim Autor der Seiten. Eine Vervielfältigung oder Verwendung solcher Grafiken, Tondokumente, Videosequenzen und Texte in anderen elektronischen oder gedruckten Publikationen ist ohne ausdrückliche Zustimmung des Autors nicht gestattet.
Datenschutz
Sofern innerhalb des Internetangebotes die Möglichkeit zur Eingabe persönlicher oder geschäftlicher Daten (Emailadressen, Namen, Anschriften) besteht, so erfolgt die Preisgabe dieser Daten seitens des Nutzers auf ausdrücklich freiwilliger Basis. Die Inanspruchnahme und Bezahlung aller angebotenen Dienste ist - soweit technisch möglich und zumutbar - auch ohne Angabe solcher Daten bzw. unter Angabe anonymisierter Daten oder eines Pseudonyms gestattet. Die Nutzung der im Rahmen des Impressums oder vergleichbarer Angaben veröffentlichten Kontaktdaten wie Postanschriften, Telefon- und Faxnummern sowie Emailadressen durch Dritte zur Übersendung von nicht ausdrücklich angeforderten Informationen ist nicht gestattet. Rechtliche Schritte gegen die Versender von sogenannten Spam-Mails bei Verstössen gegen dieses Verbot sind ausdrücklich vorbehalten.
Registrierung auf unserer Webseite
Bei der Registrierung für die Nutzung unserer personalisierten Leistungen werden einige personenbezogene Daten erhoben, wie Name, Anschrift, Kontakt- und Kommunikationsdaten wie Telefonnummer und E-Mail-Adresse. Sind Sie bei uns registriert, können Sie auf Inhalte und Leistungen zugreifen, die wir nur registrierten Nutzern anbieten. Angemeldete Nutzer haben zudem die Möglichkeit, bei Bedarf die bei Registrierung angegebenen Daten jederzeit zu ändern oder zu löschen. Selbstverständlich erteilen wir Ihnen darüber hinaus jederzeit Auskunft über die von uns über Sie gespeicherten personenbezogenen Daten. Gerne berichtigen bzw. löschen wir diese auch auf Ihren Wunsch, soweit keine gesetzlichen Aufbewahrungspflichten entgegenstehen. Zur Kontaktaufnahme in diesem Zusammenhang nutzen Sie bitte die am Ende dieser Datenschutzerklärung angegebenen Kontaktdaten.
Erbringung kostenpflichtiger Leistungen
Zur Erbringung kostenpflichtiger Leistungen werden von uns zusätzliche Daten erfragt, wie z.B. Zahlungsangaben. Um die Sicherheit Ihrer Daten bei der Übertragung zu schützen, verwenden wir dem aktuellen Stand der Technik entsprechende Verschlüsselungsverfahren (z. B. SSL) über HTTPS.
Newsletter
Bei der Anmeldung zum Bezug unseres Newsletters werden die von Ihnen angegebenen Daten ausschließlich für diesen Zweck verwendet. Abonnenten können auch über Umstände per E-Mail informiert werden, die für den Dienst oder die Registrierung relevant sind (Beispielsweise Änderungen des Newsletterangebots oder technische Gegebenheiten). Für eine wirksame Registrierung benötigen wir eine valide E-Mail-Adresse. Um zu überprüfen, dass eine Anmeldung tatsächlich durch den Inhaber einer E-Mail Adresse erfolgt, setzen wir das "double-opt-in" Verfahren ein. Hierzu protokollieren wir die Bestellung des Newsletters, den Versand einer Bestätigungsmail und den Eingang der hiermit angeforderten Antwort. Weitere Daten werden nicht erhoben. Die Daten werden ausschließlich für den Newsletter-Versand verwendet und nicht an Dritte weitergegeben. Die Einwilligung zur Speicherung Ihrer persönlichen Daten und ihrer Nutzung für den Newsletterversand können Sie jederzeit widerrufen. In jedem Newsletter findet sich dazu ein entsprechender Link. Außerdem können Sie sich jederzeit auch direkt auf dieser Webseite abmelden oder uns Ihren entsprechenden Wunsch über die am Ende dieses Dokuments angegebene Kontaktmöglichkeiten mitteilen.
Kontaktformular
Treten Sie per E-Mail oder Kontaktformular mit uns in Kontakt, werden die von Ihnen gemachten Angaben zum Zwecke der Bearbeitung der Anfrage sowie für mögliche Anschlussfragen gespeichert.
Löschung bzw. Sperrung der Daten
Wir halten uns an die Grundsätze der Datenvermeidung und Datensparsamkeit. Wir speichern Ihre personenbezogenen Daten daher nur so lange, wie dies zur Erreichung der hier genannten Zwecke erforderlich ist oder wie es die vom Gesetzgeber vorgesehenen vielfältigen Speicherfristen vorsehen. Nach Fortfall des jeweiligen Zweckes bzw. Ablauf dieser Fristen werden die entsprechenden Daten routinemäßig und entsprechend den gesetzlichen Vorschriften gesperrt oder gelöscht.
Verwendung von Google Analytics
Diese Webseite benutzt Google Analytics, einen Webanalysedienst der Google Inc. (folgend: Google). Google Analytics verwendet sog. "Cookies", also Textdateien, die auf Ihrem Computer gespeichert werden und die eine Analyse der Benutzung der Webseite durch Sie ermöglichen. Die durch das Cookie erzeugten Informationen über Ihre Benutzung dieser Webseite werden in der Regel an einen Server von Google in den USA übertragen und dort gespeichert. Aufgrund der Aktivierung der IP-Anonymisierung auf diesen Webseiten, wird Ihre IP-Adresse von Google jedoch innerhalb von Mitgliedstaaten der Europäischen Union oder in anderen Vertragsstaaten des Abkommens über den Europäischen Wirtschaftsraum zuvor gekürzt. Nur in Ausnahmefällen wird die volle IP-Adresse an einen Server von Google in den USA übertragen und dort gekürzt. Im Auftrag des Betreibers dieser Webseite wird Google diese Informationen benutzen, um Ihre Nutzung der Webseite auszuwerten, um Reports über die Webseitenaktivitäten zusammenzustellen und um weitere mit der Webseitennutzung und der Internetnutzung verbundene Dienstleistungen gegenüber dem Webseitenbetreiber zu erbringen. Die im Rahmen von Google Analytics von Ihrem Browser übermittelte IP-Adresse wird nicht mit anderen Daten von Google zusammengeführt.
Sie können die Speicherung der Cookies durch eine entsprechende Einstellung Ihrer Browser-Software verhindern; wir weisen Sie jedoch darauf hin, dass Sie in diesem Fall gegebenenfalls nicht sämtliche Funktionen dieser Webseite vollumfänglich werden nutzen können. Sie können darüber hinaus die Erfassung der durch das Cookie erzeugten und auf Ihre Nutzung der Webseite bezogenen Daten (inkl. Ihrer IP-Adresse) an Google sowie die Verarbeitung dieser Daten durch Google verhindern, indem sie das unter dem folgenden Link verfügbare Browser-Plugin herunterladen und installieren: Browser-Add-on zur Deaktivierung von Google Analytics.
Zusätzlich oder als Alternative zum Browser-Add-On können Sie das Tracking durch Google Analytics auf unseren Seiten unterbinden, indem Sie diesen Link anklicken . Dabei wird ein Opt-Out-Cookie auf Ihrem Gerät installiert. Damit wird die Erfassung durch Google Analytics für diese Website und für diesen Browser zukünftig verhindert, so lange der Cookie in Ihrem Browser installiert bleibt.
Verwendung von Scriptbibliotheken (Google Webfonts)
Um unsere Inhalte browserübergreifend korrekt und grafisch ansprechend darzustellen, verwenden wir auf dieser Website Scriptbibliotheken und Schriftbibliotheken wie z. B. Google Webfonts (www.google.com/webfonts/). Google Webfonts werden zur Vermeidung mehrfachen Ladens in den Cache Ihres Browsers übertragen. Falls der Browser die Google Webfonts nicht unterstützt oder den Zugriff unterbindet, werden Inhalte in einer Standardschrift angezeigt.
Der Aufruf von Scriptbibliotheken oder Schriftbibliotheken löst automatisch eine Verbindung zum Betreiber der Bibliothek aus. Dabei ist es theoretisch möglich - aktuell allerdings auch unklar ob und ggf. zu welchen Zwecken - dass Betreiber entsprechender Bibliotheken Daten erheben.
Die Datenschutzrichtlinie des Bibliothekbetreibers Google finden Sie hier: www.google.com/policies/privacy/
Verwendung von Google Maps
Diese Webseite verwendet Google Maps API, um geographische Informationen visuell darzustellen. Bei der Nutzung von Google Maps werden von Google auch Daten über die Nutzung der Kartenfunktionen durch Besucher erhoben, verarbeitet und genutzt. Nähere Informationen über die Datenverarbeitung durch Google können Sie den Google-Datenschutzhinweisen entnehmen. Dort können Sie im Datenschutzcenter auch Ihre persönlichen Datenschutz-Einstellungen verändern.
Ausführliche Anleitungen zur Verwaltung der eigenen Daten im Zusammenhang mit Google-Produkten finden Sie hier.
Eingebettete YouTube-Videos
Auf einigen unserer Webseiten betten wir Youtube-Videos ein. Betreiber der entsprechenden Plugins ist die YouTube, LLC, 901 Cherry Ave., San Bruno, CA 94066, USA. Wenn Sie eine Seite mit dem YouTube-Plugin besuchen, wird eine Verbindung zu Servern von Youtube hergestellt. Dabei wird Youtube mitgeteilt, welche Seiten Sie besuchen. Wenn Sie in Ihrem Youtube-Account eingeloggt sind, kann Youtube Ihr Surfverhalten Ihnen persönlich zuzuordnen. Dies verhindern Sie, indem Sie sich vorher aus Ihrem Youtube-Account ausloggen.
Wird ein Youtube-Video gestartet, setzt der Anbieter Cookies ein, die Hinweise über das Nutzerverhalten sammeln.
Wer das Speichern von Cookies für das Google-Ad-Programm deaktiviert hat, wird auch beim Anschauen von Youtube-Videos mit keinen solchen Cookies rechnen müssen. Youtube legt aber auch in anderen Cookies nicht-personenbezogene Nutzungsinformationen ab. Möchten Sie dies verhindern, so müssen Sie das Speichern von Cookies im Browser blockieren.
Weitere Informationen zum Datenschutz bei "Youtube" finden Sie in der Datenschutzerklärung des Anbieters unter: www.google.de/intl/de/policies/privacy/
Social Plugins
Auf unseren Webseiten werden Social Plugins der unten aufgeführten Anbieter eingesetzt. Die Plugins können Sie daran erkennen, dass sie mit dem entsprechenden Logo gekennzeichnet sind. Über diese Plugins werden unter Umständen Informationen, zu denen auch personenbezogene Daten gehören können, an den Dienstebetreiber gesendet und ggf. von diesem genutzt. Wir verhindern die unbewusste und ungewollte Erfassung und Übertragung von Daten an den Diensteanbieter durch eine 2-Klick-Lösung. Um ein gewünschtes Social Plugin zu aktivieren, muss dieses erst durch Klick auf den entsprechenden Schalter aktiviert werden. Erst durch diese Aktivierung des Plugins wird auch die Erfassung von Informationen und deren Übertragung an den Diensteanbieter ausgelöst. Wir erfassen selbst keine personenbezogenen Daten mittels der Social Plugins oder über deren Nutzung. Wir haben keinen Einfluss darauf, welche Daten ein aktiviertes Plugin erfasst und wie diese durch den Anbieter verwendet werden. Derzeit muss davon ausgegangen werden, dass eine direkte Verbindung zu den Diensten des Anbieters ausgebaut wird sowie mindestens die IP-Adresse und gerätebezogene Informationen erfasst und genutzt werden. Ebenfalls besteht die Möglichkeit, dass die Diensteanbieter versuchen, Cookies auf dem verwendeten Rechner zu speichern. Welche konkreten Daten hierbei erfasst und wie diese genutzt werden, entnehmen Sie bitte den Datenschutzhinweisen des jeweiligen Diensteanbieters. Hinweis: Falls Sie zeitgleich bei Facebook angemeldet sind, kann Facebook Sie als Besucher einer bestimmten Seite identifizieren.
Wir haben auf unserer Website die Social-Media-Buttons folgender Unternehmen eingebunden:
- Facebook Inc. (1601 S. California Ave - Palo Alto - CA 94304 - USA)
- Twitter Inc. (795 Folsom St. - Suite 600 - San Francisco - CA 94107 - USA)
- Google Plus/Google Inc. (1600 Amphitheatre Parkway - Mountain View - CA 94043 - USA)
- Whatsapp
- XING AG (Gänsemarkt 43 - 20354 Hamburg - Deutschland)
Ihre Rechte auf Auskunft, Berichtigung, Sperre, Löschung und Widerspruch
Sie haben das Recht, jederzeit Auskunft über Ihre bei uns gespeicherten personenbezogenen Daten zu erhalten. Ebenso haben Sie das Recht auf Berichtigung, Sperrung oder, abgesehen von der vorgeschriebenen Datenspeicherung zur Geschäftsabwicklung, Löschung Ihrer personenbezogenen Daten. Bitte wenden Sie sich dazu an unseren Datenschutzbeauftragten. Die Kontaktdaten finden Sie ganz unten. Damit eine Sperre von Daten jederzeit berücksichtigt werden kann, müssen diese Daten zu Kontrollzwecken in einer Sperrdatei vorgehalten werden. Sie können auch die Löschung der Daten verlangen, soweit keine gesetzliche Archivierungsverpflichtung besteht. Soweit eine solche Verpflichtung besteht, sperren wir Ihre Daten auf Wunsch. Sie können Änderungen oder den Widerruf einer Einwilligung durch entsprechende Mitteilung an uns mit Wirkung für die Zukunft vornehmen.
Erfassung allgemeiner Informationen
Wenn Sie auf unsere Webseite zugreifen, werden automatisch Informationen allgemeiner Natur erfasst. Diese Informationen (Server-Logfiles) beinhalten etwa die Art des Webbrowsers, das verwendete Betriebssystem, den Domainnamen Ihres Internet Service Providers und Ähnliches. Hierbei handelt es sich ausschließlich um Informationen, welche keine Rückschlüsse auf Ihre Person zulassen. Diese Informationen sind technisch notwendig, um von Ihnen angeforderte Inhalte von Webseiten korrekt auszuliefern und fallen bei Nutzung des Internets zwingend an. Anonyme Informationen dieser Art werden von uns statistisch ausgewertet, um unseren Internetauftritt und die dahinterstehende Technik zu optimieren.
Rechtswirksamkeit dieses Haftungsausschlusses
Dieser Haftungsausschluss ist als Teil des Internetangebotes zu betrachten, von dem aus auf diese Seite verwiesen wurde. Sofern Teile oder einzelne Formulierungen dieses Textes der geltenden Rechtslage nicht, nicht mehr oder nicht vollständig entsprechen sollten, bleiben die übrigen Teile des Dokumentes in ihrem Inhalt und ihrer Gültigkeit davon unberührt.
Änderung unserer Datenschutzbestimmungen
Wir behalten uns vor, diese Datenschutzerklärung gelegentlich anzupassen, damit sie stets den aktuellen rechtlichen Anforderungen entspricht oder um Änderungen unserer Leistungen in der Datenschutzerklärung umzusetzen, z. B. bei der Einführung neuer Services. Für Ihren erneuten Besuch gilt dann die neue Datenschutzerklärung.
Die Datenschutzerklärung wurde mit dem Datenschutzerklärungs-Generator der activeMind AG erstellt.
Aktivieren Sie den Suchagenten und Sie erhalten die neuesten Angebote zu Ihrer Suche sofort und kostenlos per E-Mail. Sie können Ihren Suchauftrag jederzeit bearbeiten oder beenden.
Suchagenten jetzt aktivieren! Neue Angebote erhalten
Immobilienportal-saarland.de © 2025 | Alle Rechte vorbehalten